47 999 $
8 276  $/сот
сільгосппризначення
5.8 сот
1 тиж. тому
1 тиж. тому
12 (сьогодні 1, вчора 1)
Опис
Продаж земельної ділянки, вулиця Пилипа Орлика в Шевченківському районі

Урочище Голоско, кооперативно-садівниче товариство "Дружба"

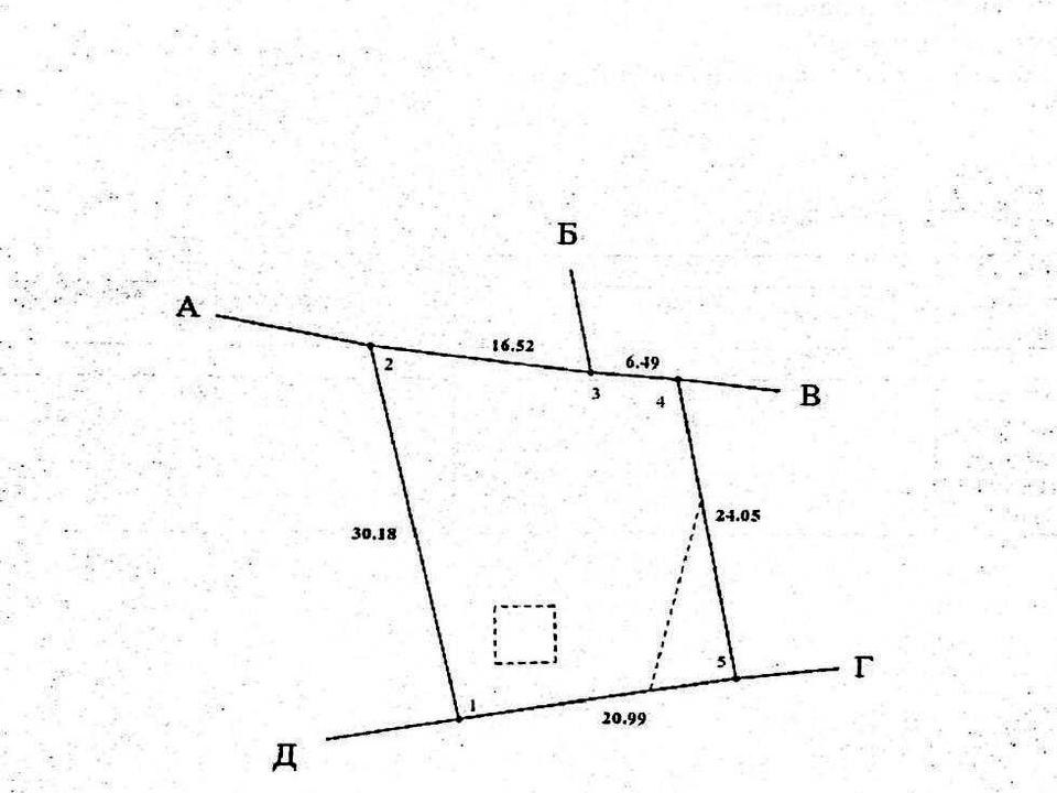
Загальна площа 5.8 соток

Поряд будується ЖК Soul Park

Доїзд грунтова дорога

Ціна 47 999 $

За додатковою інформацією телефонуйте

Діана АН
Деталі
Земельна ділянка, Розміром 5.8 соток. Призначення ділянки - Сільгосппризначення. Комісія за послуги 2000 $
XHOUSE
Верифікований профіль
4
Роки досвіду
2
Роки на сайті
Активних оголошень 13
Ексклюзивних об'єктів 0
Рекламна активність 0
Останній візит на сайт 2 дні тому
Рекомендувати
Адреса
Львів, Шевченківський р-н
Кадастровий номер 4610137500:08:001:****
Вашу скаргу прийнято!
Оберіть спосіб підтвердження
Щоб вашу рекомендацію було зараховано, підтвердіть свою особистість
* Особисті дані не відображатимуться на сайті та слугуватимуть лише для підтвердження особистості.
Як верифікуватись через Дію?
Зчитайте QR-код сканером у застосунку Дія й підтвердьте авторизацію Дія.Підписом
QR-код буде дійсний ще 02:00
Як верифікуватись через Bankid?
Верифікація BankID відкриється у новому вікні. Якщо сторінка верифікації не відкрилася, вікно було заблоковане вашим браузером.
Щоб дозволити відкриття вікна, виконайте такі кроки:

1. Перевірте адресний рядок браузера на повідомлення про помилку або піктограму блокування. Натисніть на нього.
2. Якщо у вас встановлено блокувальник спливаючих вікон, тимчасово відключіть його для цього сайту.
3. Перевірте налаштування вашого браузера і переконайтеся, що блокування спливаючих вікон вимкнено або налаштовано на дозвіл відкриття цього вікна.

Якщо проблема залишається невирішеною, зверніться до нашої служби підтримки.
Як верифікуватись через Дію?
Верифікація Дія відкриється у новому вікні. Якщо сторінка верифікації не відкрилася, вікно було заблоковане вашим браузером.
Щоб дозволити відкриття вікна, виконайте такі кроки:

1. Перевірте адресний рядок браузера на повідомлення про помилку або піктограму блокування. Натисніть на нього.
2. Якщо у вас встановлено блокувальник спливаючих вікон, тимчасово відключіть його для цього сайту.
3. Перевірте налаштування вашого браузера і переконайтеся, що блокування спливаючих вікон вимкнено або налаштовано на дозвіл відкриття цього вікна.

Якщо проблема залишається невирішеною, зверніться до нашої служби підтримки.
Вітаємо!
Рекомендацію зараховано!
Незабаром рекомендація зʼявиться на сторінці рієлтора.
Рекомендацію не зараховано.
Ви вже залишали рекомендацію даному рієлтору.
В пропозиції є незбережені дані.