4 750 000 $
769  $/м²
склад, помещение для оказания услуг
6175 м²
1 мес. назад
2 мес. назад
8 (сегодня 0, вчера 0)
Описание
#10918
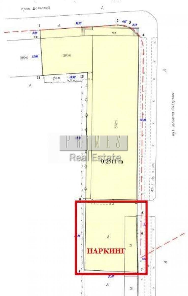
Терміново продається окремо розташована адміністративна будівля на вул. Польова, 21, Солом'янський район, Київ. Можна використовувати під офісний, офісно-торговий центр, медичний чи навчальний заклад або під будь-яке інше призначення.

Загальні характеристики:
Кількість поверхів-5, загальна площа – 6175,6 м2. Площа типового поверху – 1000 м2. Площа земельної ділянки – 0,25 га. Власний паркінг – 0,05 га.
Є додаткові місця для паркування вздовж будинку.
Терміново продається окремо розташована адміністративна (офісна) будівля
м. Київ, Солом’янський район, вул. Польова, 21
Пропонується до продажу 5-поверхова будівля комерційного призначення з власною земельною ділянкою та паркінгом. Об’єкт ідеально підходить під офісний або офісно-торговий центр, медичний чи навчальний заклад, клініку, поліклініку, бізнес-центр або інше функціональне використання.

Загальні характеристики:
Кількість поверхів: 5
Загальна площа будівлі: 6 175 м²
Площа типового поверху: близько 1 000 м²
Площа земельної ділянки: 0,25 га

Власний паркінг: 13 паркомісць (0,05 га)
Додаткові місця для паркування вздовж будівлі
Наявні ангари
Асфальтований зручний під’їзд

Технічні характеристики:
2 ліфти (пасажирський та вантажний)
Центральна система опалення
Автономна система гарячого водопостачання
Електрична потужність: 150 кВт
Система вентиляції та димовидалення (витяжні канали)

Висота стель:
між перекриттями — до 3–5 м
чистова висота — 2,5–3 м
Підключення до міських мереж водо- та теплопостачання

Локація:
Солом’янський район, розвинена інфраструктура
20 хвилин пішки до метро КПІ та Шулявська

Вартість:
770 $ / м²
Детали
Объект коммерческой недвижимости, Класс B, Помещение в офисном центре, Помещение для оказания услуг, Склад. Объект на 5 этаже, В здании 5 этажей. В помещении 6 комнат или больше. Комиссия за услуги 5 %
PRIMES
Верифицированный профиль
3
Года на сайте
Активных объявлений 287
Эксклюзивных объектов 0
Рекламная активность 0
Последний визит на сайт 1 неделя назад
Рекомендовать
Адрес
Ваша жалоба принята!
Выберите способ подтверждения
Чтобы ваша рекомендация была засчитана, подтвердите свою личность
* Личные данные не будут отображаться на сайте и будут служить только для подтверждения личности.
Как верифицироваться через Дію?
Считайте QR-код сканером в приложении Действие и подтвердите авторизацию Действие.
QR-код будет действителен еще 02:00
Как верифицироваться через Bankid?
Верификация BankID откроется в новом окне. Если страница верификации не открылась, значит окно было заблокировано вашим браузером.
Чтобы разрешить открытие окна, выполните следующие шаги:

1. Проверьте адресную строку браузера на наличие сообщения об ошибке или значка блокировки. Нажмите на него.
2. Если у вас установлен блокировщик всплывающих окон, временно отключите его для этого сайта.
3. Проверьте настройки вашего браузера и убедитесь, что блокировка всплывающих окон отключена или настроена на разрешение открытия данного окна.

Если проблема остается нерешенной, свяжитесь с нашей службой поддержки.
Как верифицироваться через Дію?
Верификация Дія откроется в новом окне. Если страница верификации не открылась, значит окно было заблокировано вашим браузером.
Чтобы разрешить открытие окна, выполните следующие шаги:

1. Проверьте адресную строку браузера на наличие сообщения об ошибке или значка блокировки. Нажмите на него.
2. Если у вас установлен блокировщик всплывающих окон, временно отключите его для этого сайта.
3. Проверьте настройки вашего браузера и убедитесь, что блокировка всплывающих окон отключена или настроена на разрешение открытия данного окна.

Если проблема остается нерешенной, свяжитесь с нашей службой поддержки.
Поздравляем!
Рекомендация засчитана!
В скором времени рекомендация появится на странице риелтора.
Рекомендация не засчитана.
Вы уже оставляли рекомендацию данному риелтору.
В пропозиції є незбережені дані.