Фільтри
6 384 оголошення
6 384 оголошення
Bondaruk Partners
54 000 $
1 952 $/сот

Київська вул., 28

під забудову
28 сот
сьогодні
Продаж земельної ділянки в Зазим’ї Пропонується до продажу земельна ділянка площею 27,66 соток у селі Зазим’я, Броварський район. Цільове призначення: під житлову забудову Зручна форма ділянки , оптимально під будівництво будинку Під’їзд: насипна дорога, на балансі села (регулярно обслуговується взимку) ⚡ Комунікації * Електроенергія: поруч, підключення можливе від сусіднього стовпа * Газ: проходить по вулиці * Інтернет: поруч проходить оптоволокно Підключення комунікацій не є проблемою — є перевірені спеціалісти, які можуть виконати роботи швидко та за розумний бюджет. Інженерні особливості * Ґрунтові води знаходяться на глибині це дозволяє без проблем облаштувати: * сверд...
Рієлтор
Bondaruk Partners
50 000 $
2 000 $/сот

Липова вул., 20

під забудову
25 сот
сьогодні
Продаж земельної ділянки в Пухівці Пропонується до продажу кілька суміжних земельних ділянок у селі Пухівка (Броварський район). Загальна конфігурація: * 2 ділянки по 7 соток * 1 ділянка — 10 соток (основна) Продаж розглядається єдиним масивом, що дає можливість зручно використовувати територію під забудову або інвестицію. На ділянці * невеликий будинок (приблизно 1961 року) * господарська споруда (сарай) * підведені електрика та вода * газ проходить по вулиці (під забором) Ділянка кутова — зручний заїзд з двох сторін Асфальтований під’їзд з обох боків Додатково * є колодязь (не використовувався близько 30 років) * колонка поруч Локація Село з розвиненою інфраструктурою:...
Рієлтор
55 000 $
6 716 $/сот

Івана Богуна вул. (Маршала Будьонного), 4

під забудову
8 сот
сьогодні
Дарницький район Верхні Бортничі Вул.Івана Богуна 4 (перетин з вул. Боровою) Затишна земельна загальною площею 8,19 соток і фасадним заїздом шириною 4 м. Квадратна форма, друга лінія, респектабельні сусіди. Кадастровий номер 8000000000:90:230:0181. Цільове - під будівництво. По вулиці проведений газ, міські водопровід і каналізація. Охайна ділянка рівного ландшафту, без зайвих споруд і рослин, повністю підготовлена під будівництво. Ідеальне місцерозташування: поруч дві школи, бассейн, дитячий садочок, стадіон, спортивний зал і декілька супермаркетів, зупинка громадського транспорту. До великого соснового лісу - 7 хвилин пішки. Документи в порядку. Власність більше трьох років. Вар...
Рієлтор
20 000 $
2 000 $/сот

Чапаєвка

під забудову
10 сот
сьогодні
Продається унікальна пропозиція всього за 20 км від Києва в чарівному селі Тарасівка – ділянка вашої мрії! 10 соток власності з можливістю розширення до 25 соток. Забудьте про обмеження – створіть простір, який ідеально підійде саме вам. Два зручних заїзди до ділянки забезпечать комфортне пересування. Розташування – в уже заселеному секторі, де вас чекатимуть доброзичливі сусіди, магазин, зупинка та вся потрібна інфраструктура для життя. На ділянці є родовий маєток, який стане вашим стартовим майданчиком для великих планів. Будинок хоч і старий, але зі своєю історією та комунікаціями (електрика, вода та газ). Ви можете його знести або перетворити на щось нове і затишне. Переваги: - С...
Рієлтор
30 000 $
1 000 $/сот

Микала

БЕЗ КОМІСІЇ
сільгосппризначення, під забудову
30 сот
сьогодні
Продам ділянку в с. Пухівка (під Києвом) вул. Микала 30 соток (22 сот. під забудову, 8 сот. ОСГ). Ділянка рівна і зручна, місце красиве, поруч річка. Побудовано цокольний поверх будинку та фундамент для господарських будівель. Є готовий проект дома. Підведено електрику. По вулиці проведено газ.
Рієлтор
55 000 $
2 270 $/сот

Чапаєва

під забудову
24 сот
сьогодні
Всього з 20 кілометрах від міста Києва у мальовничому селі Тарасівка продається величезне поле з маєтком та теплицею. Всього ми нарахували 25 соток. Місце має два заїзди, тож можно розділити землю на 2 повноцінних ділянки. Великий плюс ділянки, що вона знаходиться вже в заселеному сектрі. Родовий маєток підлягає під зніс. Старенький будиночок розташований на початку великого поля. Але якщо ви відкриєте дверь ви можливо натрапите на щось цікаве, будиночок старий, але має всі комунікації, це не дачний будинок, а прям повноцінний дім де можно жити в зимку. Світло, вода та газ є. Скважина глибиною 50 метрів та зручна асфальтована дорога, в самій Тарасівці розміщена школа і садочок.
Рієлтор
40 000 $
2 667 $/сот

Чапаєва

під забудову
15 сот
сьогодні
Всього за 20 км від Києва, у затишному селі Тарасівка, продається чудова ділянка для втілення ваших ідей та планів. 15 соток землі, які можуть стати основою для вашого майбутнього будинку чи проекту. За бажанням ділянку можна розширити до 25 соток, об’єднавши із сусідньою. Зручність доступу: два окремих заїзди забезпечать легкий під’їзд та комфорт. Інфраструктура: ділянка розташована у вже заселеному секторі, поруч є сусіди та всі необхідні об’єкти для комфортного проживання – магазини, зупинки транспорту тощо. На території є невеликий будинок, який має електрику, воду та газ. Це чудовий варіант для тимчасового проживання, поки ви реалізуєте свої плани. Переваги: - Глибока свердловин...
Рієлтор
Золоті Ворота
13 000 $
520 $/сот

Партизанська вул., 1

під забудову
25 сот
сьогодні
Земельна ділянка поруч з Києвом — ваш простір для втілення мрії! Продається приватизована земельна ділянка площею 0,2481 Га, розташована за адресою: вулиця Партизанська, 1, у селі Старе Бориспільського району, Київської області. Цільове призначення землі — під будівництво, що надає вам повну свободу для реалізації проекту власного будинку. По вулиці вже проходять лінії електропередач, що значно спрощує підключення до мережі. Село Старе має розвинену інфраструктуру, що забезпечує комфортне життя. Тут функціонують 2 школи та дитячий садок, що є важливим для сімей з дітьми. Доступні численні магазини, аптека, відділення «Нової пошти», будинок культури та церква, що забезпечує всі необхід...
Рієлтор
PRIDE estate
47 500 $
3 958 $/сот

Пушкіна вул.

під забудову
12 сот
сьогодні
# 4677 Продаж ділянки 12 соток — ідеальна для будівництва та життя Пропонується земельна ділянка правильної прямокутної форми площею 12 соток (22×54 м). Широкий фасад 22 м дозволяє зручно реалізувати проєкт дуплекса, таунхауса або комфортного приватного будинку. Також підійде для поєднання житла з бізнесо Головна перевага — абсолютно вся необхідна інфраструктура поруч: магазини, аптеки, пошта школа та дитячий садок поліклініка стадіон, дитячі та спортивні майданчики Усе це — буквально в 2–3 хвилинах пішки (150–200 м). Для відпочинку: чисте озеро — до 1 км парк і невеликий ліс — також поруч До метро — близько 20 хв на авто, до траси — 2 км. Про ділянку рівна, правильної форми родючи...
Рієлтор
Золоті Ворота
9 000 $
750 $/сот

Капустяна, 1

під забудову
12 сот
сьогодні
Земельна ділянка в Нових Безрадичах! Продається ділянка площею 12 соток за адресою: вулиця Капустяна, 1, у Нових Безрадичах. Наразі ділянка призначена під садівництво, але її можна перевести в призначення для забудови, що дозволить вам мати чудову локацію для будівництва власного будинку. Поруч вже з'явилися невеликі «палаци» з виходом до ставка, що підкреслює престижність та привабливість району. Ця ділянка розташована в мальовничій місцевості з дуже гарними краєвидами. Неподалік знаходиться невеликий ставок, де можна ловити рибу, створюючи ідеальні умови для відпочинку на природі. Інфраструктура району активно розвивається: є сусідні будинки, і ще деякі перебувають на стадії будівництв...
Рієлтор
Level Group
72 000 $
320 $/сот

сільгосппризначення, під забудову
225 сот
сьогодні
Продам 2 поверховий дуплекс Площа 225кв. м та ділянкою 3.5 соток. У дуплексі 4 спальні, 2 санвузли, тех. кімната, вбиральня, кухня-студія з виходом на терасу, панорамні вікна в підлогу, велика мансарда, на території є два місця під авто. Зручний асфальтований під'їзд, житлова вулиця. Поруч озеро, ліс, дитячий майданчик, магазин, зупинка громадського транспорту, 15 хвилин їзди до міста. Основні характеристики та переваги даного об'єкта: -10 кВт Електрики, 3 фази. -септик переливний -Свердловина 70м -паркан, прибудинкова територія, тратуарна плитка. -фасадна штукатурка теплоізоляційна та вікна з ламінацією 2х камерні з енергозбереженням. -фундамент – монолітний залізобетонний, по висоті 300...
Рієлтор
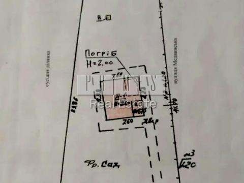
Phoenix Real Estate
160 000 $
11 561 $/сот

лісова, 24

БЕЗ КОМІСІЇ
під забудову
14 сот
сьогодні
✨ Продажа земельного участка с домом в престижной части Софиевской Борщаговки ул. Лесная, 24 Предлагается к продаже просторный земельный участок площадью 13,84 сотки с расположенным на нем домом 400 м² — отличная база для реализации масштабного частного проекта или инвестиции. Характеристики участка: • площадь — 13,84 сотки • на участке расположен капитальный дом 400 м² • все городские коммуникации — газ, электричество, вода — проходят рядом • целевое назначение — под индивидуальное жилое строительство, что позволяет возвести современный коттедж, резиденцию или несколько таунхаусов (при соответствующем проекте) Преимущества локации: Софиевская Борщаговка — одно из самых востребованн...
Рієлтор
Phoenix Real Estate
3 168 134 $
5 800 $/сот

БЕЗ КОМІСІЇ
сільгосппризначення, під забудову
546 сот
сьогодні
Продажа уникального земельного массива 5,46 Га в престижном направлении — с. Плюты, Обуховский район, Киевская область Предлагается к продаже единый земельный массив общей площадью 5,4623 га (фактически — больше), состоящий из 14 земельных участков, расположенных в одном из самых статусных и экологически чистых направлений под Киевом — Плюты / Козин. Это редкое предложение для девелоперов, инвесторов или частной резиденции премиум-класса. Основные характеристики участка: единый массив из 14 участков частная собственность, все документы готовы участок ограждён бетонным забором с трёх сторон на территории расположена собственная трансформаторная подстанция (ТП) фасад с двух сторон вых...
Рієлтор
Global Property Group
75 000 $
58 879 $/сот

Садова вул.

БЕЗ КОМІСІЇ
під забудову
1 сот
сьогодні
1,2738 га. Продам ділянку 1-а лінія річки Десна, прямий вихід до води. Мальовниче, цікаве місце. Цільове призначення - садівництво. Без %. 75000 Дол.
Рієлтор
Золоті Ворота
70 000 $
2 500 $/сот

Хутірська, 2

під забудову
28 сот
сьогодні
Земельна ділянка у мальовничому місці поруч з лісом! Продається земельна ділянка під забудову у селі Проців, на вулиці Хутірський, 2. Площа території — 28 соток дозволяє не тільки побудувати будинок, але й облаштувати гарний садок, зробити зону барбекю та відпочивати в оточенні гарної природи, на чистому повітрі. На території ділянки розташовано два будинки: один — під знесення, другий — у житловому стані, 1970 року зведення. 4 кімнати, загальна площа помешкання — 60 м2, житлова — 40 м2. У наявності піч, груба, газовий котел на опалення, газова плита, меблі — усе входить у вартість. Ділянка розташована поруч з лісом, біля конюшні Бутенко. Тихе місце, заасфальтований заїзд. Поруч автобусн...
Рієлтор
Золоті Ворота
52 000 $
4 000 $/сот

під забудову
13 сот
сьогодні
Перспективна ділянка в елітному котеджному містечку «Вишгородська Брама»! Пропонується до продажу земельна ділянка площею 13 соток в екологічно чистій зоні села Хотянівка. Це унікальна локація на березі Обвідного каналу Київського моря, де гармонійно поєднуються відчуття простору, близькість великої води та розвинена інфраструктура. Місцевість знаходиться на 10 метрів вище рівня Києва, має абсолютно рівний рельєф без ям та ярів, що значно спрощує майбутнє будівництво.До ділянки веде якісна асфальтована дорога, а призначення землі «для ведення садівництва» дозволяє звести комфортний заміський будинок для постійного проживання або сезонного відпочинку. Територія КМ «Вишгородська Брама» по...
Рієлтор
Sky House
9 000 $
600 $/сот

БЕЗ КОМІСІЇ
під забудову
15 сот
сьогодні
Селище Нове Залісся, Бучанський район Ділянка 15 соток під житлову забудову Комунікації по вулиці: газ, вода централізована, електрика Для електрики потрібно кинути 1 стовб на ділянку Поруч озеро та асфальтована дорога На ділянці є дерева
Рієлтор
Sky House
9 500 $
2 159 $/сот

БЕЗ КОМІСІЇ
під забудову
4 сот
сьогодні
Ділянки в Білогородці — з можливістю об’єднання або продажу окремо. Поруч електрика, ділянки переведені під будівництво. Масив активно забудовується. Ціна доступна. Телефонуйте для деталей
Рієлтор
Sky House
9 500 $
2 140 $/сот

БЕЗ КОМІСІЇ
під забудову
4 сот
сьогодні
Ділянки в Білогородці — з можливістю об’єднання або продажу окремо. Поруч електрика, ділянки переведені під будівництво. Масив активно забудовується. Телефонуйте для деталей
Рієлтор
Sky House
9 500 $
2 139 $/сот

БЕЗ КОМІСІЇ
під забудову
4 сот
сьогодні
Ділянки в Білогородці — з можливістю об’єднання або продажу окремо. Поруч електрика, ділянки переведені під будівництво. Масив активно забудовується. Ціна доступна. Телефонуйте для деталей
Рієлтор