150 000 $
15 000  $/сот
Комісія 5% Бежівка
комерційного призначення, під забудову
10 сот
вчора
вчора
2 (сьогодні 0, вчора 2)
Опис
#1330
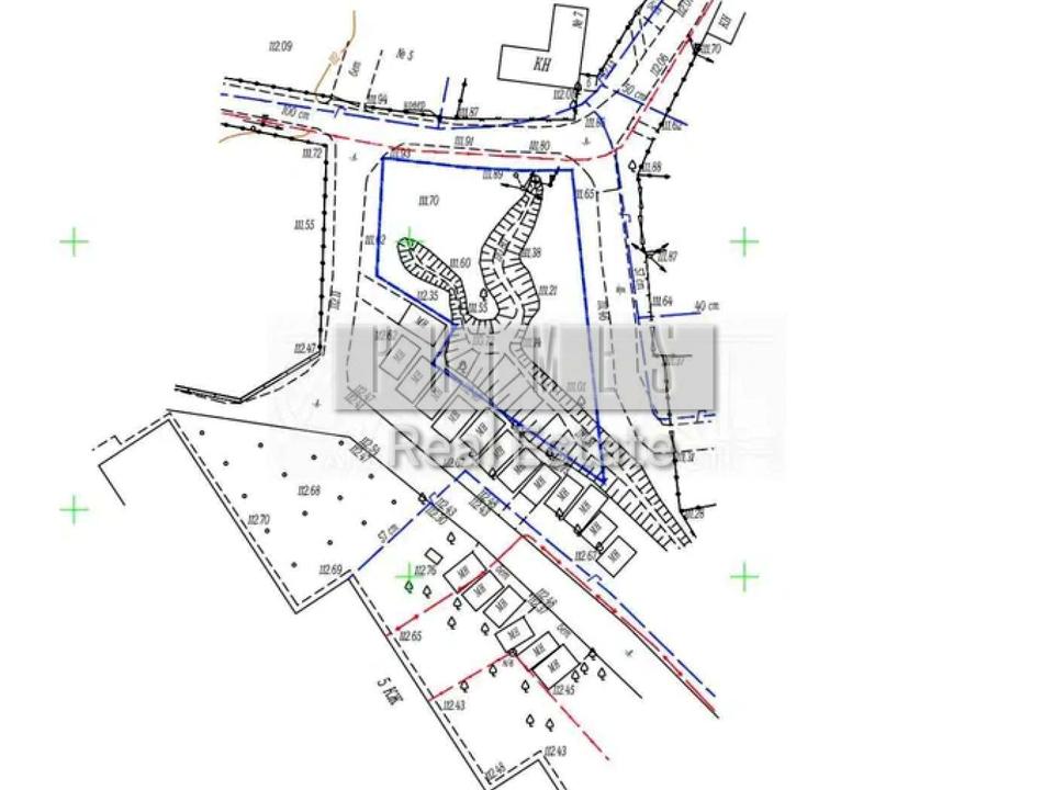
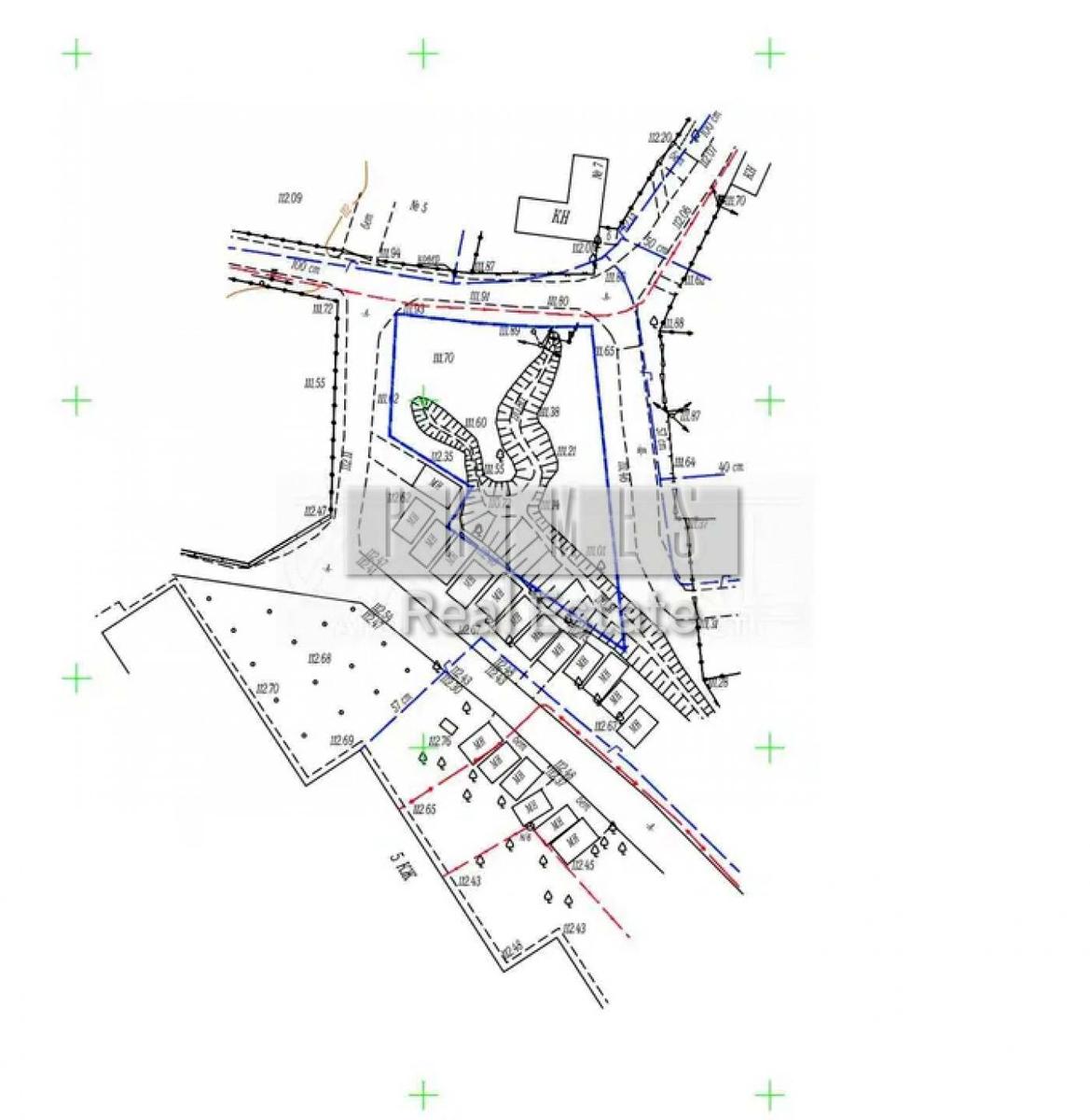
Земельна ділянка в центрі Борисполя!

Цільове призначення - 02.03 Для будівництва та обслуговування багатоквартирного житлового будинку.

2023 р. нар. отримані МБУО на будівництво багатоквартирного житлового будинку із вбудовано-прибудованими приміщеннями.
Коротка інфо з МБУ:
1) гранично допустима висотність 42 м.
2) % забудови - 70 для житлових кварталів та 60 для громадської забудови

Асфальтована дорога.
Через ділянку НЕ ПРОХОДЯТИ комунікації, червоні лінії та ін. (переносити нічого НЕ ПОТРІБНО)
На ділянці споруди відсутні, демонтаж НЕ ПОТРІБЕН.

Врізка у комунікації - газ, світло, вода, каналізація - у радіусі 100м. (вільні потужності є)

Дзвоніть!
Деталі
Земельна ділянка, Розміром 10 соток. Призначення ділянки - Під забудову, Комерційного призначення. Комісія за послуги 5 %
PRIMES
Верифікований профіль
Platinum partner
19
Років досвіду
2
Роки на сайті
Активних оголошень 215
Ексклюзивних об'єктів 0
Рекламна активність 0
Останній візит на сайт вчора
Рекомендувати
Адреса
Бориспіль, Бежівка вул. (Дзержинського)
Кадастровий номер 3210500000:10:009:****
Вашу скаргу прийнято!
Оберіть спосіб підтвердження
Щоб вашу рекомендацію було зараховано, підтвердіть свою особистість
* Особисті дані не відображатимуться на сайті та слугуватимуть лише для підтвердження особистості.
Як верифікуватись через Дію?
Зчитайте QR-код сканером у застосунку Дія й підтвердьте авторизацію Дія.Підписом
QR-код буде дійсний ще 02:00
Як верифікуватись через Bankid?
Верифікація BankID відкриється у новому вікні. Якщо сторінка верифікації не відкрилася, вікно було заблоковане вашим браузером.
Щоб дозволити відкриття вікна, виконайте такі кроки:

1. Перевірте адресний рядок браузера на повідомлення про помилку або піктограму блокування. Натисніть на нього.
2. Якщо у вас встановлено блокувальник спливаючих вікон, тимчасово відключіть його для цього сайту.
3. Перевірте налаштування вашого браузера і переконайтеся, що блокування спливаючих вікон вимкнено або налаштовано на дозвіл відкриття цього вікна.

Якщо проблема залишається невирішеною, зверніться до нашої служби підтримки.
Як верифікуватись через Дію?
Верифікація Дія відкриється у новому вікні. Якщо сторінка верифікації не відкрилася, вікно було заблоковане вашим браузером.
Щоб дозволити відкриття вікна, виконайте такі кроки:

1. Перевірте адресний рядок браузера на повідомлення про помилку або піктограму блокування. Натисніть на нього.
2. Якщо у вас встановлено блокувальник спливаючих вікон, тимчасово відключіть його для цього сайту.
3. Перевірте налаштування вашого браузера і переконайтеся, що блокування спливаючих вікон вимкнено або налаштовано на дозвіл відкриття цього вікна.

Якщо проблема залишається невирішеною, зверніться до нашої служби підтримки.
Вітаємо!
Рекомендацію зараховано!
Незабаром рекомендація зʼявиться на сторінці рієлтора.
Рекомендацію не зараховано.
Ви вже залишали рекомендацію даному рієлтору.
В пропозиції є незбережені дані.