3 300 000 $
1 000  $/м²
приміщення вільного призначення, виробниче приміщення
3300 м²
сьогодні
6 днів тому
2 (сьогодні 0, вчора 0)
Опис
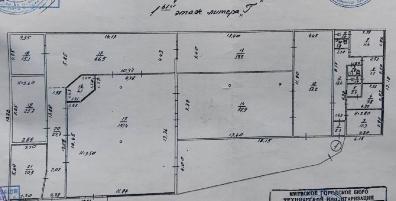
Пропонується до продажу без комісії об’єкт комерційної нерухомості у Дніпровському районі за адресою вул. Євгена Маланюка, 114. Це окремо стояча одноповерхова будівля складського типу із загальною площею 3300 кв.м, розташована на земельній ділянці площею 65,21 сотки, що перебуває в оренді до 2030 року. Кадастровий номер ділянки 8000000000:66:044:0004, цільове призначення — землі промисловості.

Об’єкт має зручний асфальтований під’їзд, підключений до електропостачання, забезпечений холодною та гарячою водою, опаленням, санвузлом та системою охорони, що робить його повністю готовим до експлуатації.

До складу комплексу входить цех №1 із заводською рампою, який включає основне виробниче приміщення з камерами осадки та упаковки площею 165 кв.м, холодильне приміщення 32,5 кв.м, камеру осадки 113 кв.м, коридор-майстерню 42,2 кв.м, офісне приміщення (лабораторію) 27 кв.м, загальний коридор за рампою (вагову) 47,2 кв.м та рампу 43 кв.м. Загальна площа цеху разом із прилеглою територією становить 517 кв.м.

Також на території розташований склад «Вімас», що складається з шести приміщень площею 143,1 кв.м, 62,4 кв.м, 53,2 кв.м, 59,2 кв.м, 98,9 кв.м і 8,7 кв.м, а також рампи. Загальна площа цього складу з урахуванням прилеглої території становить 468,05 кв.м.

Окремим блоком представлені приміщення коптильних камер із камерами осадки загальною площею 250 кв.м, 38,8 кв.м, 45,8 кв.м та 43 кв.м, що ідеально підходять для виробничих процесів харчової промисловості або суміжних напрямків.

Додатково на території розміщено чотири морські контейнери, які використовуються як складські приміщення, кожен площею 27 кв.м, загалом 108 кв.м.

Локація має розвинену інфраструктуру: поруч знаходяться зупинки громадського транспорту, зупинка міської електрички, супермаркет та кафе, що забезпечує зручність для персоналу та логістики.

Васртість продажу становить 1000 $/кв.м.
Об’єкт продається без комісії для покупця і є відмінною інвестиційною можливістю для розвитку бізнесу або розширення вироб
Деталі
Об'єкт комерційної нерухомості, Комплекс будівель, Готова будівля, Виробниче приміщення, Приміщення вільного призначення. У будівлі 1 поверх. Без комісії
Київський Ріелтор
Верифікований профіль
12
Років досвіду
5
Років на сайті
Активних оголошень 15
Ексклюзивних об'єктів 2
Рекламна активність 7083
Останній візит на сайт сьогодні
Рекомендувати
Адреса
Вашу скаргу прийнято!
Оберіть спосіб підтвердження
Щоб вашу рекомендацію було зараховано, підтвердіть свою особистість
* Особисті дані не відображатимуться на сайті та слугуватимуть лише для підтвердження особистості.
Як верифікуватись через Дію?
Зчитайте QR-код сканером у застосунку Дія й підтвердьте авторизацію Дія.Підписом
QR-код буде дійсний ще 02:00
Як верифікуватись через Bankid?
Верифікація BankID відкриється у новому вікні. Якщо сторінка верифікації не відкрилася, вікно було заблоковане вашим браузером.
Щоб дозволити відкриття вікна, виконайте такі кроки:

1. Перевірте адресний рядок браузера на повідомлення про помилку або піктограму блокування. Натисніть на нього.
2. Якщо у вас встановлено блокувальник спливаючих вікон, тимчасово відключіть його для цього сайту.
3. Перевірте налаштування вашого браузера і переконайтеся, що блокування спливаючих вікон вимкнено або налаштовано на дозвіл відкриття цього вікна.

Якщо проблема залишається невирішеною, зверніться до нашої служби підтримки.
Як верифікуватись через Дію?
Верифікація Дія відкриється у новому вікні. Якщо сторінка верифікації не відкрилася, вікно було заблоковане вашим браузером.
Щоб дозволити відкриття вікна, виконайте такі кроки:

1. Перевірте адресний рядок браузера на повідомлення про помилку або піктограму блокування. Натисніть на нього.
2. Якщо у вас встановлено блокувальник спливаючих вікон, тимчасово відключіть його для цього сайту.
3. Перевірте налаштування вашого браузера і переконайтеся, що блокування спливаючих вікон вимкнено або налаштовано на дозвіл відкриття цього вікна.

Якщо проблема залишається невирішеною, зверніться до нашої служби підтримки.
Вітаємо!
Рекомендацію зараховано!
Незабаром рекомендація зʼявиться на сторінці рієлтора.
Рекомендацію не зараховано.
Ви вже залишали рекомендацію даному рієлтору.
В пропозиції є незбережені дані.